Aujourd’hui, un peu de changement ! On ira faire deux plongée sur un site que nous ne connaissons pas : Marsa Shoona Soraya. C’est à côté de Marsa Shoona Kebir, donc potentiellement on peut quand même voir quelques reliefs différents. C’est une baie de même structure que les autres, avec un fond sableux au centre, et des verticales corallienne de chaque côté qui descendent vers 25 mètres.
Un poisson crocodile :

Une rascasse rayonnante qui se cache :

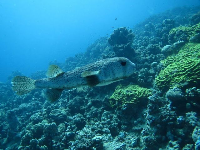
Un des plongeurs suédois de notre palanqué suivait de près un diodon :


Une pieuvre qui se planque dans un corail :

Un baliste titan avec la gâchette relevée : attention !


Un poisson scorpion :


Première fois que nous voyions ça : un pégasus !

Un autre poisson scorpion :

Et là, rencontre tout à fait merveilleuse : des raies léopard ! Il semble y avoir deux adultes et un juvenile (donc peut-être deux « parents » et un « enfant »).






Le midi, j’ai refais quelques photos sur le bateau, afin de garder une trace des repas (réellement excellents) qu’on a pu avoir avec eux.







Lors de la deuxième plongée, un autre potato cod :

Un nudibranche :

Une belle rascasse rayonnante, pour une fois avec un peu de couleurs.



Encore un baliste titan, encore avec la gâchette relevée…


Tous les billets de cette série :
- Voyage en Egypte : Jour 1 – Le vol aller
- Voyage en Egypte : Jour 2 – Plongées à Al Horafi
- Voyage en Egypte : Jour 3 – Plongées à Marsa Shoona Kebir
- Voyage en Egypte : Jour 4 – Plongées à Elphinstone Reef
- Voyage en Egypte : Jour 5 – Plongées à Abu Sayul
- Voyage en Egypte : Jour 6 – Plongées à Marsa Shoona Kebir et rencontre avec un dugong
- Voyage en Egypte : Jour 7 – Plongées à Marsa Shoona Kebir et Marsa Imbarak
- Voyage en Egypte : Jour 8 – Plongées à Marsa Shoona Soraya
- Voyage en Egypte : Jour 9 – Plongées à Sha’ab Marsa Alam
- Voyage en Egypte : Jour 10 – Plongées à Marsa Murena
- Voyage en Egypte : Jour 11 – Route de Marsa Alam à Louxor via Edfu
- Voyage en Egypte : Jour 12 – La West Bank
- Voyage en Egypte : Jour 13 – Abydos, Dendérah et le Temple de Louxor
- Voyage en Egypte : Jour 14 – Le Temple de karnak et vol jusqu’au Caire
- Voyage en Egypte : Jour 15 – Les pyramides de Gizeh, le Sphinx, Saqqarah et Dahchour
- Voyage en Egypte : Jour 16 – Visite du centre historique du Caire